




Location Entrepôt Classe A 13 413 m²
26240 Beausemblant
13 413 m²
Loyer sur demande
Disponibilité : 12 mois après accord

Mathieu PLANTIER
Description
BEAUSSEMBLANT (26)
PROJET ENTREPÔT LOGISTIQUE CLASSE A - CLÉ EN MAIN - À LOUER
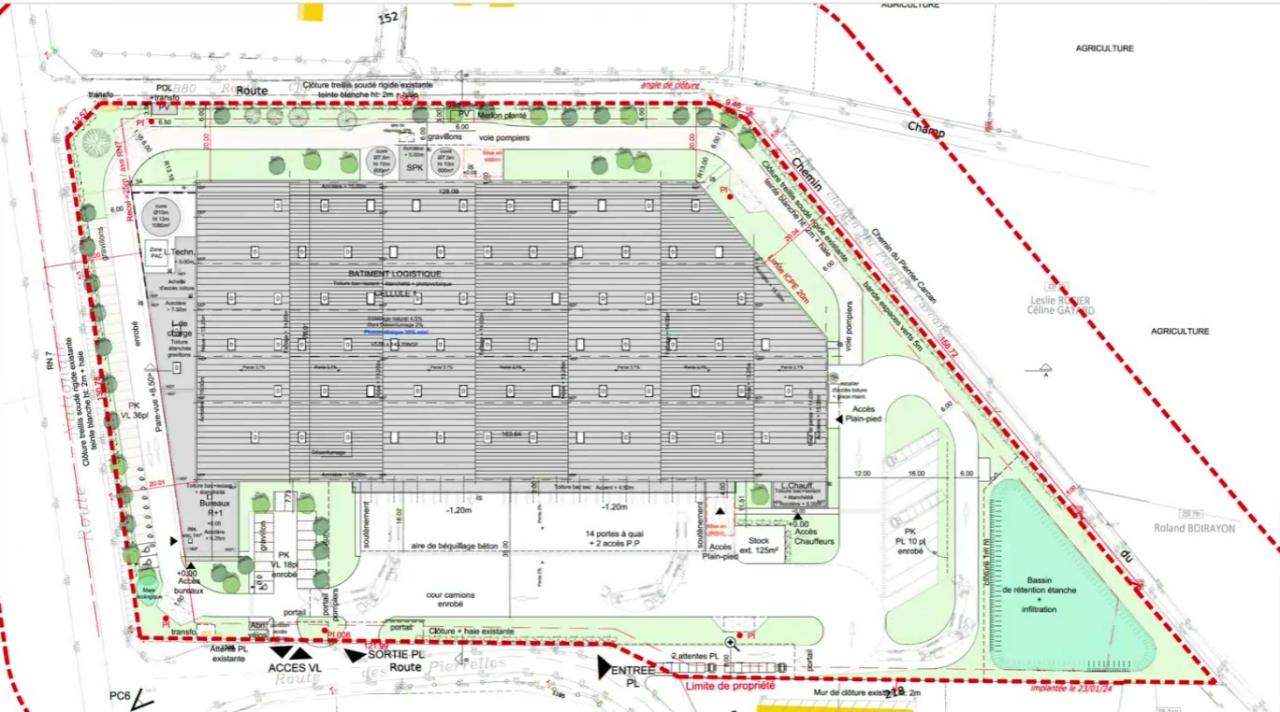
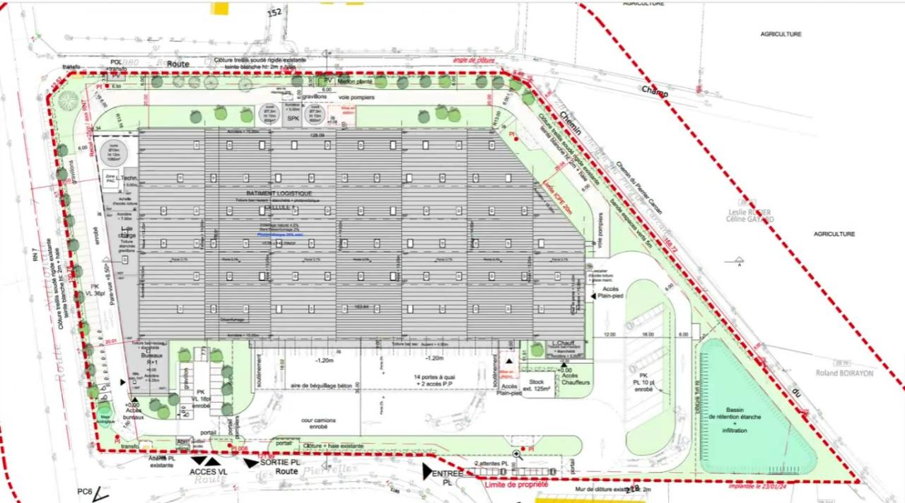
Sur un foncier de 3,2 Ha, Projet de développement d'un Clé en Main d'une superficie de 13 413 m² dont 11 997 m² de surface de stockage, 225 m² de Locaux Techniques, 941 m² de surface de Bureaux et local de chauffeurs et 250 m² de local de charge. Vente possible. Etat de construction : PC+ICPE Obtenus. Disponibilité : 12 mois après accord. Situé sur un axe de communication important au niveau européen (voies ferrées, A7, RN7 et le Rhône), le site bénéficie d'une bonne localisation logistique. ICPE A : 1510/1530/1532/2662/2663-1/2663-2
Sur un foncier de 3,2 Ha, Projet de développement d'un Clé en Main d'une superficie de 13 413 m² dont 11 997 m² de surface de stockage, 225 m² de Locaux Techniques, 941 m² de surface de Bureaux et local de chauffeurs et 250 m² de local de charge. Vente possible. Etat de construction : PC+ICPE Obtenus. Disponibilité : 12 mois après accord. Situé sur un axe de communication important au niveau européen (voies ferrées, A7, RN7 et le Rhône), le site bénéficie d'une bonne localisation logistique. ICPE A : 1510/1530/1532/2662/2663-1/2663-2
Services & prestations
Hauteurs
-
Hauteur libre : 11,00 mètre(s)
Normes, Certifications et Labels
-
Autorisation d'exploiter 1 : 1510, 1530, 1532, 2662, 2663-1, 2663-2
Structure du bâtiment
-
Couverture : Bac acier isolé
Equipements
-
Porte d'accès plain-pied : 2
-
Porte d'accès à quai : 14
-
Sprinklers : + Cuve
Prestations de service
-
Parking : 10 Places, 54 Places
Extérieurs
-
Aire de manoeuvre
Informations complémentaires
-
Bassin d'eaux Fluviales, Panneaux photovoltaïques


