




Location Local d'activité 341 m²
59273 Fretin
341 m²
Loyer sur demande
Disponibilité : Immédiate

Albane AMOROS
Description
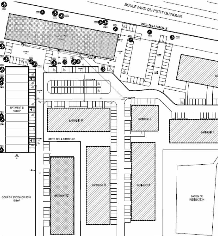
CRT 2 DE LESQUIN / ACTICENTRE - A LOUER
BNP PARIBAS REAL ESTATE vous propose à la location cette cellule de stockage/ d'entrepôt de 341 m² au sein du CRT de Lille-Lesquin.
Le CRT de Lesquin s’étend sur plus de 300 hectares. Il est situé à l’intersection des autoroutes A1 (Lille-Paris), A27 (Lille-Tournai), A23 (Lille-Valenciennes). La zone est mitoyenne à l’Aéroport de Lesquin.
Situé dans une zone à fort potentiel économique, notre local d'activité offre un emplacement stratégique qui permettra à votre entreprise de prospérer.
BNP PARIBAS REAL ESTATE vous propose à la location 1 cellule d'activités
Bâtiment M : 341 m² dont 92 m² d'entrepôt
Disponibilité immédiate
Loyer : 341 m² : 25.000 HT/HC/an
7 emplacement de parking VL sont envisageable en supplément
Que vous soyez une entreprise en expansion ou que vous cherchiez simplement à optimiser votre activité, notre entrepôt offre l'espace idéal pour répondre à vos attentes.
Trouvez votre futur local, entrepôt, hangar, cellule de stockage ou votre foncier dans les parcs d'activités de Lille et du Nord Pas de Calais. Disponibles à la location ou à la vente, nos offres s'adaptent à vos besoins en cellules industrielles ou artisanales. Ne manquez pas nos opportunités sur les surfaces à louer ou à vendre de la Métropole Lilloise.
Retrouvez toutes nos offres de locaux d'activité sur https://www.bnppre.fr/local-activite/nord-59/
Services & prestations
Hauteurs
-
Hauteur libre : 3,50 mètre(s)
Equipements
-
Eclairage Bureaux : Néons
-
Eclairage intérieur : Néon
-
Plinthes techniques périphériques
-
Porte d'accès plain-pied : 1 porte piétonne
-
Sol bureaux : Moquette
-
Sols du bâtiment : Béton
-
Source chauffage : Electrique
Structure du bâtiment
-
Charpente : Béton
-
Couverture : Bac acier isolé
-
Murs : Béton Béton gravié lavé
Prestations de service
-
Sécurité : Alarme
Aménagements
-
Hall d'accueil
-
Sanitaires
Informations complémentaires
-
1 porte piétonne pour accéder au bureau 1 porte sectionnelle, 1 porte sectionnelle, Cuisine










