




Location Entrepôt Classe A 24 159 m²
77230 Dammartin-en-Goële
24 159 m²
70 €
HT/HC/m²/an
Disponibilité : 01/06/2026

Sylvain BERNADET
Description
DAMMARTIN-EN-GOELE (77)
A Louer
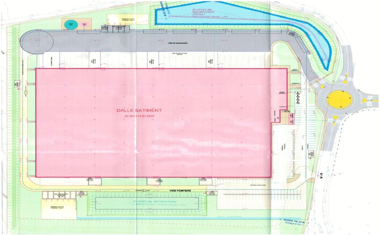
BNP PARIBAS REAL ESTATE vous propose, à la Location, un entrepôt Logistique Classe A d'une surface totale de 24.159 m² environ.
Le bâtiment est situé à Dammartin-en-Goële (77), à proximité des axes routiers N2, N330, N104 et A1.
Disponibilité : Juin 2026
Vente Possible
Services & prestations
Hauteurs
-
Hauteur libre : 12,00 mètre(s)
Normes, Certifications et Labels
-
Autorisation d'exploiter 1 : 1510
-
Certification : BREEAM
Structure du bâtiment
-
Murs : Bardage double peau
Equipements
-
Charge au sol Rdc : 5,00 tonne(s)/m²
-
Porte d'accès plain-pied : 2
-
Porte d'accès à quai : 34
-
Sols du bâtiment : Béton
-
Sprinklers
Prestations de service
-
Parking : 210 Places
Aménagements
-
Locaux sociaux : Sanitaires
Extérieurs
-
Aire de manoeuvre : 35 ml
Accès véhicules
-
Accessibilité type véhicules : Tous porteurs










