




Location Local d'activité 3 644 m²
69780 Mions
3 644 m²
110 €
HT/HC/m²/an
Disponibilité : 01/04/2026

Julien LACOSTE
Description
Mions (69)
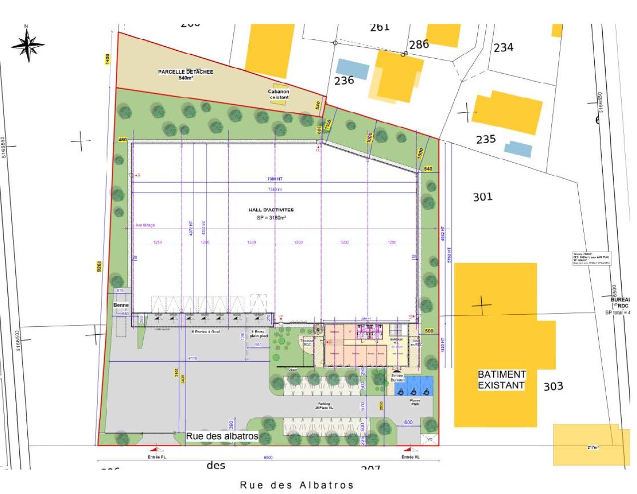
BNP PRE vous propose à la location un bâtiment d'activité de 3 644 m² avec une surface de bureau. Le bâtiment sur deux niveaux dispose d'une aire de manœuvre, d'une porte d'accès plain-pied et de 6 portes d'accès à quais. Disponible en Janvier 2026, le bien se situe sur la commune de Mions.
Mions est située à 20 km au Sud-Est de Lyon et bénéficie d’une position stratégique proche des grands axes de communication comme l’autoroute A46. Proche des zones activité de l’Est lyonnais et de l’Aéroport-Saint-Exupéry.
Services & prestations
Hauteurs
-
Hauteur libre : 10,00 mètre(s)
Accès véhicules
-
Accessibilité type véhicules : Tous porteurs
Equipements
-
Climatisation
-
Faux plafond
-
Plinthes techniques périphériques
-
Porte d'accès plain-pied : 1 4mX4.5m
-
Porte d'accès à quai : 6 3.5mX4m
Type / Etat du bâtiment
-
Etat de l'immeuble : Neuf
-
Immeuble indépendant
Structure du bâtiment
-
Charpente : Métallique
Prestations de service
-
Parking : 20 Places
Aménagements
-
Accès Pers. Mobilité Réduite
-
Complexe Salle de réunion : 1 salle(s)
-
Locaux sociaux : Réfectoire
-
Sanitaires
Extérieurs
-
Aire de manoeuvre
Informations complémentaires
-
Une terrasse










