




Location Entrepôt Classe A 22 513 m²
80320 Ablaincourt-Pressoir
22 513 m²
Loyer sur demande
Disponibilité : 36 mois après accord

Maxence MARECHAL
Description
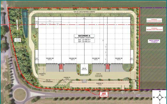
ABLAINCOURT 2 (80)
PC et ICPE obtenus
Plateforme logistique à construire sur la commune d'Ablaincourt en bordure de l'A1 et de l'A29.
Entrepôt certifié BREEAM VERY GOOD. Divisibilité à partir de 11 200 m² environ.
ICPE : Nous consulter
BNP PARIBAS REAL ESTATE vous propose cette plateforme logistique qui sera composée de 16 cellules, d'un espace de stockage et de bureaux d'accompagnement.
Spécificités du bien :
- Hauteur libre : 12 m env.
- Cours camions de 38m env.
- Deux parkings VL de 160 places chacun avec accès dissociés
- Parking PL d’attente de 25 places en entrée et 10 places en sortie
- 4 portes d'accès plain-pied
- 6 rampes de plain-pied
- 98 postes à quai équipés d’auto-docks avec portes sectionnelles isolées manuelles et niveleurs hydrauliques
- Entrepôt certifié BREEAM VERY GOOD.
Le projet est idélement situé en bordure de l'A1 et l'A29. Le site est accessible en transport via la gare SNCF TGV Haute Picardie.
Services & prestations
Hauteurs
-
Hauteur sous poutre : 11,80 mètre(s)
Normes, Certifications et Labels
-
Autorisation d'exploiter 1 : 1450 1510, 1530, 1532, 2662, 2663-1, 2663-2, 4001
-
Autorisation d'exploiter 2 : 4320 4321, 4330, 4510, 4511, 4755, 4801, 1436, 2171, 2925, 2910
-
Autorisation d'exploiter 3 : 4331
-
Certification : BREEAM
Type / Etat du bâtiment
-
Etat de l'immeuble : Neuf
-
Etat des locaux : Neuf
-
Immeuble indépendant
Structure du bâtiment
-
Charpente : Mixte béton/bois lamellé/collé
-
Couverture : Bac acier isolé multicouches
-
Murs : Bardage double peau
Equipements
-
Charge au sol Rdc : 5,00 tonne(s)/m²
-
Eclairage intérieur : Full led
-
Porte d'accès plain-pied : 4
-
Porte d'accès à quai : 24
-
Réseau Incendie Armé
-
Sol bureaux : Carrelage
-
Source chauffage : Aérotherme gaz à eau chaude/Chauffage des cellules à 11°C
-
Sprinklers : Mono couche (ESFR)
-
Zone de béquillage
Prestations de service
-
Parking : PL : 9 / VL : 94
Aménagements
-
Hall d'accueil
-
Locaux sociaux
Extérieurs
-
Local de charge
Accès véhicules
-
Accessibilité type véhicules : Tous porteurs
Informations complémentaires
-
Centrale photovoltaïque en toiture
-
Cours camion : 38 m
-
Trame poteaux : 17,1 X 12 – Profondeur 103 m







