




Location Local d'activité 700 m²
33700 Mérignac
700 m²
115 €
HT/HC/m²/an
Disponibilité : Immédiate

Deborah DORIGO
Description
A LOUER - MERIGNAC - LOCAUX COMMERCIAUX 700 m²
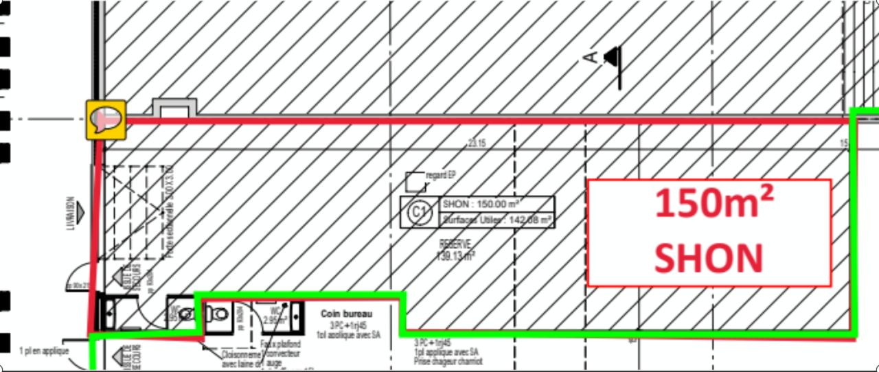
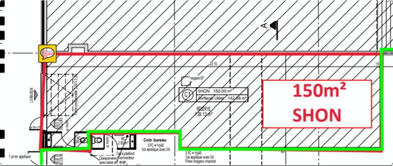
BNP PARIBAS REAL ESTATE vous propose un local commercial de 700 m², disponible immédiatement. A proximité de la Rocade. Il dispose d'une porte à la française pour les livraisons, de 2 bureaux en RDC, 1 showroom, 1 Atelier, des vestiaires femmes et hommes. A l'étage une grande mezzanine avec 2 espaces. Stationnements nombreux.
- Hauteur sous poutre 6 mètres,
- bâtiment ERP.
- 2 bureaux en RDC
- Atelier
- Showroom
- vestiaires femmes et hommes.
- mezzanine 200 m² scindée en 2 espaces
- Stationnements environ 30 places
Contactez-moi au 06 08 24 50 96 pour plus d'informations
Services & prestations
Equipements
-
Eclairage Bureaux : Luminaires encastrés
-
Faux plafond
-
Fenêtres
-
Réseau Incendie Armé
-
Sols du bâtiment : Béton
Type / Etat du bâtiment
-
Etat des locaux : Etat d'usage
Structure du bâtiment
-
Charpente : Métallique
-
Couverture : Bac acier isolé
Prestations de service
-
Parking : 15 Places
Aménagements
-
Bureaux cloisonnés
-
Sanitaires
Extérieurs
-
Aire de manoeuvre
Informations complémentaires
-
Salle de réunion
-
Accueil










